• Contcat Us
Saturday, December 6, 2025
Rhinocorp.co.id
No Result
View All Result
  • Login
  • Home
  • News
  • Ekonomi
  • Tekno
  • Finansial
  • Lifestyle
  • Market
  • Home
  • News
  • Ekonomi
  • Tekno
  • Finansial
  • Lifestyle
  • Market
No Result
View All Result
Morning News
No Result
View All Result

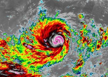
Ilmuwan Memanfaatkan Bayangan Bumi untuk Mencari UFO

Azmi Hendrawan by Azmi Hendrawan
August 30, 2025
in Tekno
0
Ilmuwan Memanfaatkan Bayangan Bumi untuk Mencari UFO
0
SHARES
0
VIEWS
Share on FacebookShare on Twitter

Astronom telah berusaha selama beberapa dekade untuk menjawab salah satu pertanyaan paling mendalam dalam sejarah umat manusia: Apakah kita sendirian di alam semesta? Dengan kemajuan teknologi dan metode penelitian yang inovatif, upaya mencari tanda-tanda kehidupan di luar planet Bumi semakin mendekati harapan untuk menemukan jawaban.

Kulminasi dari berbagai penelitian ini membawa kita pada penggunaan bayangan Bumi sebagai alat untuk mendeteksi keberadaan objek luar angkasa yang mungkin merupakan tanda dari peradaban alien. Metode ini berfungsi dengan cara yang unik, memfilter gangguan dari aktivitas manusia yang semakin padat di orbit Bumi.

READ ALSO

Uni Eropa Denda Rp2,3 Triliun Karena Diduga Sarang Penipuan

Cara Gratis Langganan Starlink untuk Korban Banjir di Sumatra

Perkembangan Metode Pencarian Jejak Alien yang Baru

Seiring dengan kemajuan ilmu astronomi, pendekatan untuk mendeteksi kehidupan di luar angkasa pun mengalami transformasi. Alih-alih mengandalkan teleskop radio atau instrumen optik, para peneliti kini mengalihkan fokus mereka kepada bayangan yang dihasilkan oleh planet kita sendiri. Ini menjadi strategi baru yang menjanjikan dalam pencarian artefak alien.

Studi yang diterbitkan di majalah terkemuka menjelaskan cara-cara di mana bayangan Bumi dapat difungsikan sebagai filter alami, menyegarkan kembali harapan untuk menemukan objek yang jarang terdeteksi. Dengan menggunakan bentuk kerucut bayangan yang terbentuk setiap malam, para peneliti dapat menciptakan zona pencarian yang bebas gangguan dari satelit dan puing-puing yang bermunculan di sekitar orbit.

Bayangan ini menciptakan zona pencarian yang optimal, yang menghampar sejauh 8-9 derajat dari basis bayangan. Ini sangat strategis untuk mendeteksi objek apapun yang datang dari luar angkasa, termasuk kemungkinan wahana alien yang beroperasi di dekat Bumi tanpa terdeteksi.

Tantangan yang Dihadapi dalam Mendeteksi Objek Antariksa

Namun, mencari keanehan di langit juga tidak bebas dari tantangan. Dengan ribuan satelit yang mengorbit dan jutaan puing-puing antariksa yang memantulkan cahaya, proses deteksi menjadi lebih menyulitkan. Inilah sebabnya mengapa metode baru ini sangat diperlukan; untuk memisahkan informasi yang valid dari gangguan yang disebabkan oleh aktivitas manusia di luar angkasa.

Peneliti terkemuka dari Universitas terkemuka mencatat bahwa metode ini adalah langkah signifikan ke depan dalam pencarian artefak. Setiap malam, bayangan Bumi menghilangkan potensi ‘kontaminasi’ dari cahaya, sehingga objek misterius bisa lebih mudah teridentifikasi.

Dengan menganalisis gambar yang diambil oleh teleskop canggih, seperti fasilitas pengamatan yang terletak di California, para astronom dapat menyaring ribuan foto untuk menemukan potensi objek. Dari sini, mereka dapat mengukur dan mencatat setiap penemuan yang muncul dari bayangan tersebut, menambah lapisan baru pada pencarian alien.

Penemuan Misterius dan Proyek Masa Depan

Salah satu penemuan paling menarik dari penelitian ini adalah sebuah objek yang belum terdaftar, yang bergerak jauh lebih cepat dibandingkan astroid biasa dan tak terdaftar dalam database luar angkasa yang ada. Menariknya, meski objek tersebut belum dapat dibuktikan keberadaannya, itu tetap menimbulkan minat besar dalam komunitas ilmiah.

Proyek ini tidak hanya berfokus pada penemuan baru, tetapi juga mengupayakan pengembangan lebih lanjut dari jaringan teleskop yang dirancang khusus untuk mendeteksi objek serupa. Penggunaan observasi simultan adalah salah satu strategi untuk mempercepat pengukuran jarak ke objek misterius yang ditemukan.

Meskipun hasil dari studi ini belum mengarah pada identifikasi teknologi alien yang konkret, metode yang dikembangkan menunjukkan potensi besar. Hal ini membuka jalan bagi pencarian sistematis yang lebih efektif yang dapat memanfaatkan teknologi yang ada saat ini.

Tags: BayanganBUMIIlmuwanMemanfaatkanMencariUFOuntuk

Related Posts

Netizen Mengeluh X Tidak Bisa Diakses Saat Demonstrasi di DPR
Tekno

Uni Eropa Denda Rp2,3 Triliun Karena Diduga Sarang Penipuan

December 6, 2025
Cara Gratis Langganan Starlink untuk Korban Banjir di Sumatra
Tekno

Cara Gratis Langganan Starlink untuk Korban Banjir di Sumatra

December 5, 2025
Robot-robot Canggih Terbaru Memukau di Jepang
Tekno

Robot-robot Canggih Terbaru Memukau di Jepang

December 5, 2025
Spotify Wrapped 2025 Kini Tersedia, Simak Cara Membuatnya
Tekno

Spotify Wrapped 2025 Kini Tersedia, Simak Cara Membuatnya

December 4, 2025
Wamenkomdigi Tegaskan Starlink Berikan Layanan Gratis untuk Korban Banjir Aceh
Tekno

Wamenkomdigi Tegaskan Starlink Berikan Layanan Gratis untuk Korban Banjir Aceh

December 4, 2025
China Larang Konten Pesimis di Medsos Selain Kritik Pemerintah
Tekno

Viral Pungutan Starlink untuk Korban Banjir Aceh, Apa Faktanya?

December 3, 2025
Next Post
SBY Bahas Isu Kemanusiaan dan Lingkungan di Pameran Bersama Komunitas Pelukis

SBY Bahas Isu Kemanusiaan dan Lingkungan di Pameran Bersama Komunitas Pelukis

POPULAR NEWS

Studi Terbaru Mengungkap Hubungan Tomat dan Leluhur Kentang

Studi Terbaru Mengungkap Hubungan Tomat dan Leluhur Kentang

August 4, 2025
Usai Akuisisi Tambang Nikel, Opsi ITMG Masuk Bisnis Emas Dibuka

Usai Akuisisi Tambang Nikel, Opsi ITMG Masuk Bisnis Emas Dibuka

September 10, 2025
5 Fakta Rekening Sekuritas Rp 70 Miliar yang Dibobol

5 Fakta Rekening Sekuritas Rp 70 Miliar yang Dibobol

September 14, 2025
Aksi Korporasi, Investor Singapura Borong Saham PACK Secara Diam-Diam

Aksi Korporasi, Investor Singapura Borong Saham PACK Secara Diam-Diam

September 10, 2025
Harapan dari Kafe di Arboretum Kemenhut yang Terbakar dan Terjadi Penjarahan

Harapan dari Kafe di Arboretum Kemenhut yang Terbakar dan Terjadi Penjarahan

September 3, 2025

Berita Terkini

IHSG Masih Berpotensi Menguat Hari Ini

Prospek Saham Menguntungkan di Awal Oktober

October 6, 2025
Pembangunan Nasional Tak Lagi Jawa Sentris Menurut Gibran dan Alasan IKN

Pembangunan Nasional Tak Lagi Jawa Sentris Menurut Gibran dan Alasan IKN

August 24, 2025
Trump Dekat Deadline Kesepakatan Tarif dengan China: Tetap Tunggu dan Lihat

Trump Enggan Temui Xi Jinping Terkait Isu Logam Tanah Jarang dengan China

October 11, 2025
Internasional Pengiriman Pertamina Masuki Bisnis Transportasi Karbon

Internasional Pengiriman Pertamina Masuki Bisnis Transportasi Karbon

September 27, 2025

Network

upload.co.id
beritariau.co.id
simplenews.co.id
rs-medikabsd.co.id
ibnusutowohospital.co.id
ademsari.co.id
bitcoinnews.co.id
dermaluz.co.id
jiexpo.co.id
donghan.co.id
icconsultant.co.id
metroindo.co.id
bentogroup.co.id
gatranews.co.id
kacapatri.co.id
gemilangsukses.co.id
siomom.id
situskita.id
masyumi.id
dapurdia.id
baginasipagi.id
bacaajadulu.id
sukagaming.id
sobatsandi.id
ragaminspirasi.id
salamdokter.id
buser.co.id
morindonews.co.id
wordpres.co.id
sigarmas.id
infotekno.co.id
metroproperti.co.id
siarandigital.id
corinedefarme.co.id
cloudmedia.co.id
amornews.id
newsbreak.id
csms.co.id
newszonamerah.id
dutacendana.co.id
mediahub.co.id
ihsg.co.id
diksinews.co.id
publikita.id
hostija.co.id
suarakita.co.id
warga.co.id
pyramedia.co.id
eratv.co.id
analisanews.co.id
ayonet.id
getkurs.id
senjupremium.id
ppob-btn.co.id
sekoja.id
kasmaranjokowi.id
sigmanews.co.id
suarapetirnews.id
getjobs.id
beritakarya.co.id
sekolahpenerbangan.co.id
paketwisatahalal.id
beritaantara.co.id
dmi.co.id
bizmom.id
fitme.co.id
ecofarming.id
akuntomountain.id
konsultandigital.co.id
closing.id
martapura.id
airkesehatan.id
signexpress.id
promotoyota.co.id
jrid.co.id
matuahilia.id
kasus.co.id
undalas.ac.id
unhasan.ac.id
unairl.ac.id
unpadj.ac.id
undipo.ac.id
unsriw.ac.id
joystix.id
infolokerkarawang.id
kreatifnesia.id
potensidiri.id
jtc-edu.id
maejin.id
smeshub.co.id
afplawfirm.co.id
gotekno.id
lintaspena.id
accountingsolution.co.id
gciit.id
gemaberita.id
gameaja.id
treemedia.id
jbinews.id
beritaforex.co.id
beritabanten.co.id
beritanya.id
beritamalang.co.id
beritakepri.co.id
beritabagus.co.id
beritakompas.co.id
beritapemilu.co.id
beritabersatu.id
beritapositif.id
beritarakyatnews.co.id
beritakami.co.id
beritagaruda.id
beritaantara.id
beritamusik.id
sastranews.co.id
payungnews.id
notifnews.id
swaranews.co.id
journalnews.co.id
tabulanews.id
securitynews.id
centininews.co.id
ottnews.co.id
pelitanews.co.id
skusinarberitanews.id
penaemasnews.id
pencanangnews.co.id
cuaninaja.id
jenniferblake.com
cuaninaja.com
Logo Rhinocorp

Jl. Tanjung Duren Dalam No.18, Grogol Petamburan, Jakarta Barat (11470)
+62812 6888 0169
[email protected]

Follow us

Categories

  • Ekonomi
  • Finansial
  • Lifestyle
  • Market
  • News
  • Tekno

Recent Posts

  • Badan Gizi Nasional Sebut Lansia Pemulung dan Anak Jalanan Akan Terima MBG
  • Dorong Literasi Keuangan dan UMKM Naik Kelas Melalui NFHE 2025
  • Uni Eropa Denda Rp2,3 Triliun Karena Diduga Sarang Penipuan
  • Data Kesuburan Tanah dan Cara Jaga Efisiensi Ekosistem dengan Pupuk

    Copyright © 2025 rhinocorp.co.id - Hak Cipta Dilindungi Undang-Undang. rhinocorp. rhinocorp.co.id.

    No Result
    View All Result

    Copyright © 2025 rhinocorp.co.id - Hak Cipta Dilindungi Undang-Undang. rhinocorp. rhinocorp.co.id.

    Welcome Back!

    Login to your account below

    Forgotten Password?

    Retrieve your password

    Please enter your username or email address to reset your password.

    Log In
    Kuliner Keju Ala Cafe Mahjong WaysSerangan Iran Ke Israel Bagi Mahjong WaysCara Menang Maluku QQCUANgoogle ditinggal ni aplikasi penggantinyaledakan scatter mahjong wayspelatihan spektakuler gratis bogor qqcuanbogor surprise meriah qqcuanevent qqcuan jangan terlewatkan
    phishing https://berita-sumatra.id/ https://seongiclik.id/ https://mangu.id/ https://daily-news.id/ https://trendsmagazine.org/ QQCUAN AGENCUAN agencuan togel macau https://www.globalgoalsalliance.org/category/ https://www.dubab8.com/about/ https://elli-la.hms.com/about/ https://www.suzannesmithactress.com/about/ https://www.myfirsthome.org.uk/169cuan/ https://www.myfirsthome.org.uk/qqcuan/ https://www.myfirsthome.org.uk/agencuan/ https://www.seasontickets.ie/features/ 169cuan agencuan agencuan agencuan agencuan agencuan https://www.ensinopositivo.com/ https://www.equitygrowthinsight.com/ https://www.homerock.com/video/qqcuan/ 169cuan slot777 agencuan 169cuan agencuan agencuan agencuan agencuan agencuan agencuan agencuan agencuan agencuan agencuan agencuan agencuan agencuan agencuan agencuan 169cuan agencuan agencuan agencuan 169cuan qqcuan agencuan 169cuan qqcuan agencuan https://ami.stitmuhngawi.ac.id/forms/ slot88 agencuan 169cuan slot thailand 169cuan qqcuan slot777 agencuan agencuan agencuan cuan4646 sv388 slot88 https://journal.shantibhuana.ac.id/public/journals/kamboja.html pola-gila-mahasiswa-uvers-dalam-mahjong-ways-bikin-group-kelas-auto-rame belajar-pola-mahjong-dari-anak-uvers-tips-aneh-ini-disebut-sering-ngasih-hoki bukan-sekadar-game-mahasiswa-uvers-ini-beri-tips-rahasia-mahjong-ways-yang-bikin-penasaran tips-pola-scatter-hitam-ala-anak-kampus-uvers-tembus-maxwin-tiga-kali-beruntun kampus-uvers-heboh-mahasiswa-raih-maxwin-usai-coba-tips-scatter-hitam-sendiri bukan-teori-biasa-anak-uvers-pakai-pola-tips-sendiri-dan-raih-maxwin-dari-kos nenek-penjual-kembang-di-tulungagung-senang-banget-sejak-kenal-mahjong-wins-1 ibu-rumah-kontrakan-di-pasar-minggu-nggak-sangka-mahjong-wins-1-bawa-rejeki-besar cuma-karena-nunggu-lampu-merah-adit-klik-gates-of-olympus-dan-berakhir-rp-5.900.000 awal-nya-nyari-wallpaper-zeus-eh-dzakira-malah-kena-hoki-dari-gates-of-olympus main mahjong pakai teori dosen uvers pemuda ini auto menang 145jt lewat maxwin uji coba strategi mahjong di kantin uvers bikin maxwin datang dan 563jt masuk rekening mahasiswa uvers2 curiga pola ini bikin mahjong ways 2 auto menang dosen ikut uji coba trik mahjong ways 2 versi anak uvers2 bisa ngalahin rumus dosen sendiri fenomena scatter hitam jadi bahan utama dalam penelitian jurnal uvers2 jam pola bikin auto win beneran ini catatan jurnal uvers2 soal scatter hitam jurnal uvers2 soroti pola aneh di rtp pgsoft pada jam tertentu terbongkar di jurnal uvers2 rtp pgsoft melonjak saat jam pola ini muncul ospek kampus uvers2 heboh akibat trik mahasiswa mainin mahjong wins 3 viral di uvers2 trik mahjong wins 3 dibocorkan saat ospek angkatan baru terungkap di ospek uvers2 ini trik mahjong wins 3 yang bikin maxwin trik mahjong wins 3 dipelajari selama ospek di kampus uvers2 benarkah ampuh mahasiswa uvers2 bongkar strategi rahasia gates of olympus tembus jp 894jt viral di kampus uvers2 strategi gates of olympus ini berujung jp fantastis dari uks ke podium pola mahjong uvers2 bikin heboh mahasiswa ruang uks uvers2 dibuka paksa ternyata isi catatan pola mahjong tua eksperimen mahasiswa uvers2 jadikan jam kuliah lebih modern dengan fitur wild gaya baru uvers2 mengajar pakai jam modern bertema wild jam wild modern bikin dosen uvers2 terkesima ini alasannya jackpot 175 miliar terjadi setelah rtp live diakses dari lab uvers2 hasil riset uvers2 rtp live bisa picu jackpot sampai 851 milliar strategi rahasia dosen uvers2 bikin wild naik drastis saat free spin wild uvers2 pecah rekor lewat strategi free spin tak biasa mahasiswa uvers2 bongkar rahasia trik pola mahjong wins 3 terupdate driver bus uvers2 coba pola mahjong wins 3 hasilnya di luar logika kombinasi pola rtp trik uvers2 dan mahjong wins 3 bikin gempar kampus kisah uvers2 bongkar trik rahasia starlight princess tembus puluhan juta bongkar rahasia puluhan juta dari starlight princess oleh alumni kampus uvers2 viral uvers2 ikut ramai trend starlight princess hingga raih puluhan juta ibu sumarni bongkar strategi red tiger yang bikin ramai kampus uvers2 cerita ibu dosen sri mulyani di uvers2 berujung pada jackpot red tiger bocoran pola menang mahjong wins dari anak uvers2 bikin heboh strategi rahasia pg soft akhirnya dibongkar mahasiswa uvers2 uji coba pola menang pg soft oleh dosen uvers2 berujung jp fakta baru mahjong wins uvers2 temukan pola gacor pg soft universitas uvers2 geger metode teknik baru bongkar pola scatter hitam dosen teknik uvers2 disebut pahami celah scatter hitam scatter liar ini dipelajari mahasiswa kampus dari pengalaman petani spin unik wild dan scatter petani surabaya jadi bahan riset di kampus tugas akhir uvers2 dibatalkan karena mahasiswa fokus analisa rtp wild mahjong satpam-uvers2-pelajari-pola-rtp-baccarat-sampai-diburu-anak-ekonomi maxwin-di-jam-malam-satpam-uvers2-curigai-aktivitas-mahasiswa-di-lab kampus-uvers2-geger-tukang-sapu-curi-perhatian-usai-maxwin-mahjong-senilai-280jt terbongkar-pola-rtp-mahjong-versi-sederhana-ala-tukang-sapu-kampus-uvers2 strategi-pola-mahjong-dari-mahasiswa-uvers2-bikin-dosen-baccarat-tertegun bongkar-cara-berpikir-mahasiswa-uvers2-dalam-menaklukkan-mahjong-dan-baccarat universitas-uvers2-angkat-mahjong-dalam-seminar-strategi-modern-fakultas-ekonomi dosen-akuntansi-uvers2-bongkar-trik-pola-wild-ke-mahasiswa-saat-jam-istirahat scatter-hitam-di-menit-ke-12-jadi-kunci-pola-wins-besar-mahjong-5 scatter-hitam-beruntun-buka-pintu-pola-mahjong-wins-5-di-sesi-singkat-ini rtp-jam-08-17-disebut-sakti-di-kampus-uvers2-saat-wild-mahjong-muncul-beruntun dosen-kaget-lihat-data-rtp-jam-mahjong-yang-cocok-dengan-waktu-buka-uvers2 wild-mahjong-muncul-saat-waktu-tutup-kantin-penjual-tahu-di-uvers2 reza-penjaga-kantin-uvers2-tembus-menang-987-juta-sambil-nunggu-kuliah-mulai pak-firman-satpam-uvers2-curi-perhatian-usai-raih-Rp412-juta-dari-hp-lamanya alumni-uvers2-novi-kerja-sebagai-driver-ojol-dapat-keberuntungan-Rp514-juta cleaning-service-uvers2-bu-sulastri-mendadak-dilirik-media-setelah-menang-Rp841-juta dosen-filsafat-uvers2-bu-indah-temukan-polanya-di-baccarat-viral-di-kampus driver-angkot-samping-kampus-uvers2-pak-joko-menang-baccarat-modal-sisa-ngojek kampus-uvers2-heboh-dosen-filsafat-sukses-raih-maxwin-lewat-analisa-scatter ketika-dosen-filsafat-uvers2-bahas-konsep-scatter-dan-maxwin-di-kelas kisah-mahasiswa-uvers2-kalahkan-wild-bandito-menggunakan-pola-pg-soft pola-wild-bandito-ala-pg-soft-viral-di-lingkungan-kampus-uvers2 terungkap-trik-unik-mahjong-ways-2-ala-mahasiswa-uvers2-berbuah-maxwin mahjong-ways-2-bikin-dosen-uvers2-auto-sultan-jackpot-rp-350-juta-bikin-heboh dosen-ekonomi-uvers2-raih-jackpot-rp-350-juta-lewat-mahjong-ways-2-viral-di-grup-kampus penelitian-mahasiswa-uvers2-bongkar-fenomena-gates-of-olympus-dari-sisi-statistik bukan-judul-skripsi-biasa-mahasiswa-uvers2-kupas-strategi-unik-dalam-gates-of-olympus pola-mahjong-unik-temuan-mahasiswa-uvers2-berujung-jackpot-rp-451-juta kampus-uvers2-dihebohkan-mahasiswa-yang-temukan-pola-mahjong-dan-jp-ratusan-juta pemain-baccarat-yang-viral-hari-ini-pernah-mengikuti-kuliah-terbuka-di-uvers2 berita-viral-pemain-baccarat-beri-pesan-tajam-ke-mahasiswa-uvers2-hari-ini penjual-kopi-keliling-diduga-bocorkan-pola-wild-di-depan-kampus-uvers2 strategi-akurat-penjual-bakso-di-kampus-uvers2-jadi-topik-hangat-mahasiswa mahasiswa-uvers2-gunakan-modal-kecil-dan-trik-pola-unik-raih-mahjong-wins-3 bongkar-rahasia-dosen-uvers2-ini-kuasai-pola-mahjong-sejak-2022 kejutan-di-kelas-mahjong-pola-rahasia-dosen-uvers2-terbongkar awal-mula-bongkar-rahasia-pola-mahjong-dari-laptop-pemilik-universitas-uvers2 rahasia-free-spin-starlight-princess-bikin-kampus-uvers2-heboh efek-free-spin-beruntun-uvers2-geger-dengar-kabar-jackpot-857-milliar uvers2-dibuat-bingung-mahasiswa-temukan-celah-free-spin-terbaru rumor-jackpot-857-milliar-saat-kuliah-online-di-uvers2-bikin-warganet-panas rtp-wild-naik-tajam-saat-mahasiswa-uvers2-lagi-ngopi-di-kantin bocoran-strategi-rtp-wild-versi-anak-kampus-uvers2-viral-di-forum trik-mahasiswa-uvers2-ini-bongkar-pola-mahjong-jackpot-241-juta terungkap-pola-mahjong-pemburu-jackpot-241-juta-di-kampus-uvers2 alumni-uvers2-ungkap-strategi-trik-dan-rtp-scatter-hitam-paling-berbahaya trik-rahasia-alumni-uvers2-membaca-rtp-dan-scatter-hitam-terbongkar bocoran-trik-scatter-hitam-dan-rtp-yang-dipelajari-alumni-uvers2 viral-pengakuan-dosen-filsafat-di-uvers2-berhasil-maxwin-432-juta kampus-uvers2-gempar-dosen-filsafat-ini-klaim-maxwin-hingga-212-juta pengakuan-mengejutkan-dosen-ekonomi-uvers2-bongkar-rahasia-maxwin bocor-trik-davina-karamoy-raih-kemenangan-di-kampus-uvers2 trik-davina-karamoy-yang-bikin-kampus-uvers2-gempar-usai-menang-banyak viral-alumni-uvers2-disebut-kuasai-scatter-hitam-saat-nonton-timnas pola-mahjong-alumni-uvers2-ini-bikin-heboh-saat-laga-timnas-indonesia senyum-thom-haye-terlihat-saat-baca-trik-rtp-pg-soft-mahasiswa-uvers2 rtp-pg-soft-bocor-mahasiswa-uvers2-tembus-jackpot-321jt-bikin-thom-haye-angkat-topi terungkap-trik-mahjong-jackpot-dibocorkan-fans-patrik-kluivert patrik-kluivert-kaget-lihat-trik-mahjong-scatter-hitam-bisa-jackpot mahasiswa-uvers2-ini-viral-karena-kuasai-pola-wild-di-mahjong pola-wild-mahjong-jadi-topik-hangat-di-uvers2-berkat-mahasiswa-cerdas-ini trik-update-2025-dari-jurnal-uvers2-tembus-batas-logika-scatter mahasiswa-uvers2-uji-coba-trik-scatter-dan-hasilnya-mengejutkan strategi-mahjong-scatter-hitam-kejar-maxwin-231-juta pola-wild-mahjong-untuk-jackpot-109-juta trik-baccarat-ala-tukang-ojek-bikin-heboh-surabaya dosen-uvers2-bongkar-pola-mahjong-menuju-maxwin satpam-kampus-berhasil-jackpot-mahjong-392-juta ruang-uks-heboh-trik-mahjong-scatter-hitam-terbaru peta-jalan-maxwin-mahjong-untuk-pemula-surabaya strategi-baccarat-aman-modal-tipis-target-231-juta penjual-bakso-cerita-pola-mahjong-anti-panik trik-wild-mahjong-tembus-maxwin-di-2025 blueprint-pola-mahjong-menuju-338-milliar strategi-santai-baccarat-109-juta-versi-lapangan kisah-tukang-ojek-dapat-maxwin-mahjong-di-surabaya pola-mahjong-scatter-hitam-yang-lagi-naik-daun trik-mahjong-wild-reset-ritme-biar-jackpot trik-jitu-mahjong-ways-2-bongkar-scatter-hitam-ala-ahmad-alkhairat ustadzah-aisyah-alkhairat-hebohkan-kampus-dengan-pola-maxwin strategi-baccarat-anti-gagal-versi-ridwan-alkhairat pola-mahjong-ways-2-ustadz-fikri-alkhairat-tembus-maxwin tips-dan-trik-maxwin-mahjong-ways-2-syifa-alkhairat santri-luqman-alkhairat-terkejut-dengan-pola-scatter-hitam reset-strategi-baccarat-mbak-zahra-alkhairat-bikin-viral pola-mahjong-ways-2-bu-khadijah-alkhairat-yang-menggegerkan kisah-farhan-alkhairat-raih-maxwin-dari-trik-baccarat scatter-hitam-mahjong-ways-2-bongkar-rahasia-najwa-alkhairat ruang-uks-heboh-mahasiswa-uvers2-dapat-freespin-mahjong-ways-2
    strategi-baccarat-di-ruang-uks-ternyata-bikin-maxwin
    laboratorium-kampus-uji-pola-wild-mahjong-wins-3
    mahasiswa-uvers2-terkejut-rtp-mahjong-ways-2-tiba-tiba-melonjak
    freespin-beruntun-mahasiswa-uvers2-sontak-viral-di-surabaya
    jackpot-mahjong-ways-2-tercatat-di-laporan-ruang-uks
    strategi-pola-wild-baccarat-bikin-guru-besar-terheran
    eksperimen-laboratorium-buka-fakta-rtp-mahjong-ways-2
    trik-jitu-mahjong-wins-3-bikin-mahasiswa-uvers2-girang
    jackpot-mendadak-338juta-di-mahjong-wins-3-bikin-gempar
    mahasiswa-uvers2-fokus-rtp-baccarat-dapat-hasil-memuaskan
    wild-mahjong-ways-2-tiba-tiba-muncul-di-sesi-laboratorium
    strategi-aneh-mahasiswa-uvers2-bawa-scatter-hitam
    pola-mahjong-ways-2-didiskusikan-serius-di-ruang-uks
    laboratorium-uji-pola-wild-mahjong-wins-3-hasilnya-gila
    freespin-menjanjikan-mahjong-wins-3-bikin-asrama-riuh
    mahasiswa-uvers2-saling-bagikan-trik-scatter-hitam
    scatter-hitam-muncul-ruang-uks-serentak-bertepuk-tangan
    wild-dan-freespin-mahjong-ways-2-viral-di-kantin-uvers2
    jackpot-109juta-dari-baccarat-bikin-mahasiswa-gembira
    dini hari di pelosok garut rina tiba tiba menang besar lewat mahjong ways 2 mahjong ways 2 bikin fadli terdiam usai lihat nominal rp112 juta di layar teman ngopi malah bikin andi coba mahjong ways 2 dan hasilnya bikin merinding kejadian tak biasa di warnet lama daerah lebak saat bermain mahjong ways 2 mahjong ways 2 ubah hari biasa dimas jadi luar biasa dengan kejutan besar mahjong wins 3 ubah malam sepi di tasikmalaya jadi berkesan bagi dimas rp98 juta muncul di layar andi usai main mahjong wins 3 di kamar sempit pengalaman tak terlupakan rina di mahjong wins 3 saat listrik mati mendadak mahjong wins 3 hadirkan keajaiban di warnet sunyi pinggiran purworejo fadli tak sadar raih jutaan rupiah lewat mahjong wins 3 jelang subuh fadli menemukan scatter hitam saat hujan deras dan semua berubah seketika kejadian aneh di malam jumat bikin rina lihat scatter hitam di layar tua rp103 juta muncul setelah andi tak sengaja pencet scatter hitam di warung scatter hitam muncul di komputer lama dimas dan beri kejutan tak terduga pertemuan tak disangka dengan scatter hitam di pelosok magelang bikin merinding andi terpaku lihat rtp live mahjong naik drastis di warnet kosong daerah cilacap dimas tak sengaja akses rtp live mahjong saat macet parah dan dapat berkah rtp live mahjong muncul saat listrik padam di kampung rina malah dapat kejutan kejadian tak lazim di terminal saat fadli main rtp live mahjong jelang maghrib rtp live mahjong bikin heboh warga pinggiran setelah ada yang raih rp121 juta fadli menemukan kejutan di mahjong wins dan wild saat hujan lebat di subang rp87 juta muncul di layar rina sesaat usai gates of olympus berubah liar mahjong wins buka jalan untuk dimas kenali wild misterius di waktu subuh malam sepi di pinggiran tegal berubah jadi haru setelah andi buka gates of olympus wild ganas muncul saat main mahjong wins dan bikin heboh warga kontrakan fadli lihat scatter hitam berpola aneh dan bikin rp92 juta muncul tiba tiba trik tak sengaja rina temukan scatter hitam di komputer lama dan dapat kejutan malam hening di cibinong pecah saat dimas buka scatter hitam dengan pola langka scatter hitam dan pola unik bikin andi dapat hasil di luar nalar di ruang belakang jackpot misterius muncul setelah warga temukan pola scatter hitam di hp bekas mahjong wins 5 berikan harapan baru untuk rina setelah gagal di kota besar malam sunyi di gudang tua jadi momen andi lihat mahjong wins 5 muncul tiba tiba rp109 juta terlihat di layar dimas usai mahjong wins 5 aktif saat hujan deras mahjong wins 5 muncul di warnet lama pinggiran salatiga bikin fadli gemetar kejadian tak terduga saat ronda bikin warga temukan mahjong wins 5 di hp lama rtp live scatter muncul di layar wulan saat gelap gulita di rumah kontrakan keanehan rtp live scatter di hp bekas milik surya bikin gemetar sekeluarga malam dingin di pinggiran pekanbaru jadi saksi darma lihat rtp live scatter naik rtp live scatter tiba tiba aktif saat vania sedang numpang wifi di warung kopi nominal rp113 juta muncul usai yudha temukan rtp live scatter berpola ganjil vidya menangis bahagia setelah lihat mahjong wins 3 muncul di siang terik rp94 juta muncul saat gilang temukan mahjong wins 3 di komputer kantor lama mahjong wins 3 muncul di warnet kosong bikin novita gemetar seorang diri keanehan di senja pelabuhan bikin aryo terpaku pada layar mahjong wins 3 mahjong wins 3 muncul tiba tiba di ponsel azka saat menumpang wifi tetangga zidan lihat pola mahjong ways 2 berubah saat listrik padam di kamar belakang pola mahjong ways 2 terlihat aneh saat dhira main di komputer lama kos kosannya rp101 juta muncul sesaat setelah kenzi ikuti pola mahjong ways 2 saat subuh pola mahjong ways 2 bikin raras merinding saat akses wifi di warung samping kuburan temuan pola mahjong ways 2 di ponsel bekas milik tamara bikin heboh seisi kontrakan gates of olympus muncul tiba tiba di layar nadira saat listrik kedip di kosan rp108 juta terlihat usai bayhaqi buka gates of olympus di warnet tua pinggiran kota gates of olympus aktif di hp rusak milik farrel bikin siang biasa jadi luar biasa gema petir di subuh hening iringi kemunculan gates of olympus di komputer hilda tanpa sadar arvino aktifkan gates of olympus saat numpang wifi di depan toko trik unik alyan lihat pola mahjong ways 2 saat menunggu bensin di pinggir jalan mahjong ways 2 buka peluang besar saat karima coba trik lama di komputer bekas trik tak disengaja azril pakai saat mahjong ways 2 tiba tiba berubah liar mahjong ways 2 bikin citra merinding setelah trik randomnya berhasil tengah malam hanya dengan trik sepele yudha lihat perubahan mahjong ways 2 di warung sepi rtp live wild mahjong muncul di komputer tua saat zulfikar lembur di gudang saat numpang wifi di warung risna lihat rtp live wild mahjong naik misterius rp127 juta terlihat setelah bagas ikuti alur rtp live wild mahjong saat subuh rtp live wild mahjong aktif di ponsel lama salma saat hujan deras melanda kejutan di pinggiran samarinda saat dewangga lihat rtp live wild mahjong menyala gates of olympus muncul tiba tiba di hp bekas milik sheva saat malam hujan rp119 juta terlihat setelah harven buka gates of olympus di warnet pinggir pasar gates of olympus bikin rahma menangis bahagia saat wifi tiba tiba nyala sendiri suasana subuh di teras belakang jadi saksi gates of olympus aktif di ponsel gilang darin menemukan kejanggalan di layar gates of olympus saat numpang di kontrakan masuk ke beranda berdebu scatter hitam di layar azqya bikin jantung mau lepas scatter hitam datang tanpa izin saat hamdi sendirian di bawah lampu kerlap kerlip bukan mimpi nadif lihat scatter hitam bercahaya di ponsel yang sudah mati 2 hari gerimis turun perlahan saat ramiza tak sengaja temukan scatter hitam dalam file usang semua berubah saat scatter hitam muncul di komputer rosan di dalam gudang peternakan semua berawal dari coretan pola di kertas bekas ziyad menang mahjong wins 5 mahjong wins 5 tiba tiba muncul saat nafisah ikuti gerakan jari dari mimpinya pola yang tak pernah dipelajari bisa bikin joel menang banyak di mahjong wins 5 tak ada suara hanya pantulan layar dan mahjong wins 5 yang membuat lana terpaku menang bukan karena ahli reihan temukan pola mahjong wins 5 di kalkulator hp tak ada yang sangka rtp di mahjong ways 2 melonjak setelah pola jitu rivan digunakan semalaman berkutat di warnet ayu cuma coba pola jitu mahjong ways 2 sekali langsung kena mahasiswa langsung pulang saat lihat rtp jitu di mahjong ways 2 muncul di layar sebelah mahjong ways 2 sudah diamati nanda 2 hari rtp naik baru terjadi setelah gerakan itu pola acak berulang ulang akhirnya buka rtp jitu mahjong ways 2 di hp davin yang ngadat nadra menemukan pola mahjong wins 1 saat listrik villa mendadak padam total mahjong wins 1 terbuka sesaat setelah gibran salah tekan polanya sendiri semua orang tidur hanya layar bercahaya dan pola mahjong wins 1 di depan anuar dari bercanda jadi serius zea tak sangka pola mahjong wins 1 bisa seakurat itu pola mahjong wins 1 itu ditemukan aulia saat memindai gambar acak di notes kusam dari pukul tiga sampai wild mahjong muncul sendiri di layar buram milik mokhlas wild berkedip saat jam rtp naik di mahjong bikin jiwa arumi terasa dicubit alam setelah pindah kursi tiba tiba ada wild di mahjong dan jam rtp pas di angka 11 semalaman rivan mengira cuma ngantuk sampai wild mahjong meledak pas jam rtp puncak wild mahjong terjadi begitu saja di depan dzaky tepat saat jam rtp berbunyi lagi trik yang dikira main main bikin aluna lihat mahjong wins 3 aktif saat seduh mie mahjong wins 3 muncul tiba tiba setelah reyan pakai trik gabut yang ditemunya dulu di sudut warung gelap fani uji trik sendiri dan mahjong wins 3 ikut menjawab semua terjadi terlalu cepat saat arvino tiru trik lama mahjong wins 3 di subuh buta trik mahjong wins 3 di kertas lecek milik joella bikin wifi rumah jadi penuh orang di antara asap dapur tiba tiba layar lisa munculkan gates of olympus yang terdiam gates of olympus meledak tepat saat elvano tarik kabel roll yang hampir korslet bukan karena ahli deva lihat gates of olympus aktif waktu lagi pindah bantal rintik hujan malam itulah saat bayan menekan gates of olympus dengan jantung penuh tekanan gates of olympus muncul sesaat setelah cakra salah tekan di mouse yang sudah retak mahjong ways 2 tiba tiba nyala saat biru langit pelan pelan hilang dari layar ifa suara panci dapur belum reda saat rayan lihat mahjong ways 2 melompat di ponsel lama mahjong ways 2 ikut muncul waktu aqsa cuma mau lihat catatan kasir di warnet bekas tidak ada nama tidak ada teks hanya cahaya mahjong ways 2 di layar retak salma mahjong ways 2 bukan game biasa setelah laras menatapnya tanpa kedip selama 4 menit mahjong wins 3 diam diam muncul saat layar hazel berembun karena tekanan napasnya bukan trik atau keberuntungan hanya tangan lelah lian menekan mahjong wins 3 mahjong wins 3 meledak setelah zafran tutup semua tab karena ingin menyerah tepat saat air mendidih di kompor tua anya lihat mahjong wins 3 bercahaya sejenak dari gesture acak rafi di touchpad usang tiba tiba mahjong wins 3 membuka diri rtp live naik saat layar firis terdiam dan wild mahjong muncul begitu saja wild itu bukan biasa biasa saja saat novran temukan di rtp live mahjong malam itu lampu redup dan sisa kopi pahit jadi latar wild mahjong di rtp live ponsel rasyid tak ada suara hanya klik berulang sampai mahjong menampilkan wild saat rtp live penuh rtp live terakhir dilihat vellin di layar pecahnya sebelum wild mahjong buka jalan gates of olympus muncul sesaat setelah damar meletakkan helmnya di lantai basah tidak ada pertanda apapun sampai ranita lihat gates of olympus berkedip lewat bayangan suara gemuruh di atas langit dan gates of olympus di layar retak milik nazril gates of olympus itu diam saja tapi bikin gemetar saat nayaka menatapnya lama setelah listrik nyala kembali vina menemukan gates of olympus masih terbuka sendiri trik itu cuma mainan sampai mahjong ways 2 muncul di layar ria saat matahari turun mahjong ways 2 aktif setelah radhit pencet trik yang sebenarnya tak pernah diuji bukan karena pola alyana cuma pakai trik basi saat mahjong ways 2 bikin jantung berdebar trik dari chat lama di hp retak itulah yang bikin alvino lihat mahjong ways 2 menari mahjong ways 2 buka sendiri di layar laptop nasya sesaat setelah trik acak diuji sopir bis rute klaten purworejo dengar rtp mahjong ways dan scatter hitamnya bikin heboh penyulam baju pengantin di pekalongan temukan scatter hitam mahjong ways saat rtp lagi naik abang fotocopy di kampus kupang curiga rtp mahjong ways beneran bisa buka scatter hitam koki hotel di manado sempatkan cek rtp mahjong ways lalu lihat scatter hitam meledak petugas makam di lombok selatan kaget lihat scatter hitam muncul di rtp live mahjong ways petugas pencatat meteran di cianjur rahasia triknya tembus mahjong wins 3 bikin takjub penjual bubur kacang hijau di pagi butaw temukan trik pola aneh di mahjong wins 3 dan auto borong anak tukang las di banyuwangi berhasil ulang trik langka dan bikin heboh di mahjong wins 3 ibu kost di duri rias kamar seharian sebelum triknya bekerja di mahjong wins 3 teknisi antena di lembang diam diam pelajari trik mahjong wins 3 sampai akhirnya pecah nelayan pensiun di bangka berbagi trik baccarat saat subuh dan bikin kaget keluarga wanita penjual es dawet di kediri rahasia trik baccarat yang dipelajari sejak lebaran pemilik warnet lama di magelang dadak kaya usai coba trik baccarat berulang sore di kontrakan anak kost jakarta dengar trik baccarat dari tetangga dan coba ikut perempuan penyulam di padang tak sengaja dengar trik baccarat saat naik angkot rtp live muncul di sela gelas retak saat nafisa sedang bersihkan dapur tengah malam senyap sebelum subuh dan rtp live di layar rayhan seolah jadi satu satunya cahaya tidak sengaja menyalakan monitor lama alvino lihat rtp live naik pelan tapi pasti rtp live membisu sampai meletus saat najwa mengetuk mouse di atas meja keramik dingin layar tua berkedip dua kali lalu rtp live tampil dengan pelan di halaman browser lani kuli batu di palopo mendadak curiga dengan pola olympus saat hujan deras malam hari ibu kos di blitar temukan pola olympus saat ngopi pagi bikin anak kosan heran petugas laundry di tebet pakai pola olympus buat isi tabungan ibu di desa remaja penjual cilor di bekasi temukan pola olympus dari obrolan pelanggan pemuda penyervis tv keliling di subang rajin catatan pola olympus sambil ngopi 3 pola mahjong wins asia2739 asia2740 asia2745 asia2746 asia2749 asia2757 asia2758 asia2807 asia2808 asia3167 asia3168 asia3171 asia3172 mahjong punya hari keberuntungan tersendiri mahjong wins terliha lesu cuan2447 cuan1337 cuan1975 cuan1945 agencuan mahjong ways 2 muncul sesaat setelah elang mematuk jendela rumah nabila pagi itu sebelum semua lampu mati daffa lihat mahjong ways 2 bergerak pelan di monitor retro tidak sengaja menekan enter saat sedang bersih bersih meja mahjong ways 2 menyala mahjong ways 2 bukan game biasa bagi rayya yang lihat cahaya aneh di sudut layar di sela lagu lama yang terputar sendiri mahjong ways 2 muncul di hp milik seno trik yang diabaikan orang justru bikin gates of olympus meledak di layar ramzi semua bermula dari catatan kecil trik gates of olympus milik kania di dalam dompet lama saat wifi ngadat ibrahim uji trik lama dan gates of olympus tiba tiba menjawab tak percaya awalnya salsa lihat trik acaknya bikin gates of olympus berubah total gates of olympus muncul sesaat setelah reza ulang trik yang dulu dipakai temannya penyablon kaos di cimahi catat rtp live wild dari obrolan warkop dan terbukti ampuh nenek penjual lontong di subuh bandung dibantu cucunya pahami rtp live wild hari ini anak teknisi speaker rumahan di tuban bongkar catatan rtp live wild milik ayahnya penjaga kebun rambutan di banyumas ikuti rtp live wild lewat hp lama yang diperbaiki asisten koki warung tegal di klaten curiga kenapa rtp live wild selalu naik saat maghrib penjual lemang di pasar aceh tiba tiba diam usai lihat scatter hitam dan saldo naik tajam remaja kolektor uang kuno di cirebon dibuat bingung oleh munculnya scatter hitam beruntun penyortir ikan di pelabuhan tolitoli ikuti bayangan scatter hitam dan akhirnya dapat jackpot paman bambu betung di lereng kerinci lihat scatter hitam berjejer tiga lalu terduduk lemas wanita penjahit pakaian figure di jambi menangis haru karena scatter hitam di subuh butek pola mahjong aneh di kertas bekas itu bikin rafasya dapat maxwin tanpa sadar maxwin datang saat nahira tak sengaja ulangi pola mahjong yang ia gambar sendiri pola mahjong itu terlalu rumit kata tasya sebelum maxwin muncul di layar retak semua berubah saat niko beranikan diri coba pola mahjong acak dan lihat maxwin di tengah siang gerah farhan melihat maxwin datang sesaat setelah pola mahjong klik mahasiswa tingkat akhir stkipgetsempena ungkap pola baccarat saat ngopi larut malam lulusan baru stkipgetsempena dapat polanya di baccarat dan uangnya masuk tiap minggu jackpot mahjong muncul setelah pola aneh di sudut monitor kampus stkipgetsempena di balik sesi laporan akhir reva lihat pola mahjong yang hadirkan jackpot mengejutkan pola tak sengaja ditulis dosen di whiteboard bikin izzan lihat jackpot mahjong malam itu jackpot mahjong aktif sesaat setelah monitor lab komputer stkipgetsempena kembali hidup tak ada suara hanya pola dan mahjong yang bergerak lambat sampai jackpot itu muncul rtp naik drastis saat layar lab komputer stkipgetsempena tampilkan mahjong wins 3 mahjong wins 3 aktif sesaat setelah nayaka tekan spacebar di ruang editing stkipgetsempena tidak ada suara hanya rtp yang bergerak dan mahjong wins 3 di monitor retro kampus dari tugas presentasi ke rtp berkedip wildly salma lihat mahjong wins 3 di lab bangunan b alumni alkhairat di palu dapat kejutan dari mahjong ways 2 saat menunggu wisuda teman kos di sekitar alkhairat curiga karena ia terus menang di mahjong ways 2 mahasiswi alkhairat terpaku di warung saat polanya di mahjong ways 2 akhirnya tembus warga sekitar alkhairat di pagi buta dengar sorakan dari kamar kos karena mahjong ways 2 bekas aktivis kampus alkhairat di luwuk mendadak senyum terus gara gara mahjong ways 2 rtp mendadak naik saat layar komputer lab alkhairat tampilkan mahjong wins 3 mahjong wins 3 aktif di sela uji coba projector rusak di ruang audio alkhairat tekanan tugas akhir bikin azim coba mahjong wins 3 saat rtp naik di kampus alkhairat semua orang sudah pulang hanya monitor alkhairat yang munculkan mahjong wins 3 tak ada ekspektasi saat zira tutup tab browser di alkhairat lalu rtp mahjong meledak gates of olympus meledak setelah zaky coba trik lama di lab komputer alkhairat semua berawal dari salah tekan dan trik itu bikin maxwin gates of olympus di alkhairat trik tanpa nama dari chat grup malah buka maxwin gates of olympus untuk rafika gates of olympus aktif saat monitor proyektor alkhairat tiba tiba hidup sendiri tak disangka trik dari catatan bekas bikin gates of olympus meledak di kampus alkhairat scatter hitam muncul di atas layar hp reyna saat hujan deras bikin sinyal putus jam dua pagi scatter hitam terlihat di ponsel yudha tepat saat lilin padam scatter hitam bukan mitos itu muncul saat deva bersihkan lemari berdebu warisan kakek di ruang belajar kecil itu scatter hitam tiba tiba muncul di layar monitor dhia pola gelap dan kilat layar itu jadi pertanda kemunculan scatter hitam di komputer vano asn ropeg kemenkes curi perhatian setelah kuasai pola mahjong ways 2 temuan mengejutkan asn di ropeg kemenkes rajin main mahjong ways 2 pola fokus dan reaksi cepat asn ropeg kemenkes terinspirasi dari mahjong ways 2 mahjong ways 2 disebut tingkatkan refleks kinerja asn ropeg kemenkes game mahjong ways 2 jadi pembahasan serius di pelatihan ropeg kemenkes pns ropeg kemenkes sulsel temukan polanya di mahjong wins 3 saat dinas luar honorer ropeg kemenkes keceplosan cerita hoki di mahjong wins 3 dalam rapat pagi analisis perilaku visual dalam penyajian scatter hitam pada data kesehatan digital pengaruh scatter hitam terhadap akurasi rtp dalam monitoring aplikasi berbasis kesehatan penggunaan scatter hitam pada pemetaan interaktif dalam sistem informasi kemenkes evaluasi scatter hitam sebagai indikator visual di dalam database sdm kesehatan studi kasus scatter hitam dalam dashboard analitik untuk percepatan pelayanan kesehatan arsiparis muda ropeg kemenkes dikira lupa input data ternyata lagi nge spin di mahjong wins 3 mahjong wins 3 dibuka diam diam oleh staff ropeg kemenkes saat lembur malam pegawai ropeg kemenkes lampung dapat transferan mendadak setelah coba mahjong wins 3 cuan4646 asia7676 asia6541 asia3987 staf ropeg kemenkes tersenyum saat trik mahjong malam hari bikin kaget pegawai arsip ropeg jakarta coba trik mahjong dan bikin ruangan heboh petugas keuangan ropeg kemenkes dapati trik mahjong saat lembur di kantor karyawan ropeg kemenkes bercerita trik mahjong yang tidak disangka rekan kerja honorer ropeg kemenkes menemukan trik mahjong saat istirahat siang kantor trik mahjong wins 3 bikin heboh ruang rapat di ropeg kemenkes suasana lembur ropeg kemenkes mendadak ricuh karena trik mahjong wins 3 kejadian malam itu trik mahjong wins 3 dibicarakan staf ropeg kemenkes dari arsip hingga kantin ropeg kemenkes trik mahjong wins 3 ramai dibahas obrolan santai ropeg kemenkes berubah serius saat trik mahjong wins 3 muncul rtp wild jackpot bikin obrolan karyawan ropeg kemenkes di kantin memanas malam hening di ropeg kemenkes mendadak heboh karena bahas rtp wild jackpot isu rtp wild jackpot terdengar saat staf ropeg kemenkes lembur di arsip dari lorong ropeg kemenkes kabar rtp wild jackpot ramai dibicarakan rtp wild jackpot jadi pembicaraan hangat saat reuni kecil pegawai ropeg kemenkes laporan internal temukan fenomena mahjong ways 2 dalam kasus penggunaan perangkat pribadi studi pegawai honorer menunjukkan aktivitas mahjong ways 2 pada jam istirahat kerja temuan it ropeg sinyalir file mahjong ways 2 terdeteksi di jaringan wifi kantor hasil audit menunjukkan sisipan mahjong ways 2 dalam lampiran email tidak resmi pegawai magang mengaku pelajari polanya dari mahjong ways 2 saat akses laptop bekas analisis log ropeg temukan unsur mahjong ways 2 di file presentasi tidak resmi hasil verifikasi menunjukkan unsur grafik dari mahjong ways 2 di dokumen external pengawasan it ropeg memblokir akses terkait pola grafis mahjong ways 2 di jaringan laporan keamanan data soroti referensi mahjong ways 2 dalam unggahan cloud pribadi temuan unik saat rapat zoom terganggu akibat preview mahjong ways 2 di tab browser mahjong kembali gunakan arena asia kombinasi strategi mahjong terbaru dari supriyadi mahjong bantu perkuat modal nekat remaja bandung jam rtp mahjong maxwin jadi perbincangan panas di ropeg kemenkes lembur malam staf ropeg kemenkes heboh saat bahas jam rtp mahjong maxwin suasana kopi pagi ropeg kemenkes diselingi obrolan jam rtp mahjong maxwin jam rtp mahjong maxwin ramai diceritakan pegawai ropeg kemenkes seusai rapat di sela arsip ropeg kemenkes terdengar bahasan jam rtp mahjong maxwin obrolan trik mahjong wins 3 muncul di kantin ropeg kemenkes siang hari lembur panjang ropeg kemenkes diwarnai kabar trik mahjong wins 3 trik mahjong wins 3 tak sengaja terdengar saat rapat staf ropeg kemenks suasana pagi di ropeg kemenkes heboh dengan bahasan trik mahjong wins 3 dari lorong sepi ropeg kemenkes muncul cerita trik mahjong wins 3 strategi mahjong wins 3 terkuak dari percakapan penjaga malam ropeg kemenkes heboh di parkiran ropeg kemenkes saat bahas strategi mahjong wins 3 strategi mahjong wins 3 tak sengaja terdengar saat acara perpisahan di ropeg kemenkes bisik bisik strategi mahjong wins 3 mewarnai pagi hening ropeg kemenkes strategi mahjong wins 3 bikin suasana piket sabtu ropeg kemenkes berubah ramai strategi dan pola wild scatter ramai jadi bahan obrolan saat lembur di ropeg kemenkes kejutan di kopi pagi ropeg kemenkes saat strategi pola wild scatter terungkap strategi pola wild scatter muncul tiba tiba dalam rapat mendadak ropeg kemenkes bisik bisik staf ropeg kemenkes hebohkan kantor karena strategi pola wild scatter dari lorong sepi ropeg kemenkes terdengar bahasan strategi pola wild scatter pola jackpot mahjong wins 3 hebohkan ruang kerja staf ropeg kemenkes malam lembur ropeg kemenkes mendadak ricuh karena pola jackpot mahjong wins 3 obrolan santai di kopi pagi ropeg kemenkes terhenti saat pola jackpot mahjong wins 3 disebut pola jackpot mahjong wins 3 tak sengaja terungkap dalam arsip ropeg kemenkes suasana reuni kecil pegawai ropeg kemenkes diwarnai kabar pola jackpot mahjong wins 3 jam main scatter hitam terdengar dari obrolan larut malam di ropeg kemenkes kejutan jam main scatter hitam mewarnai acara perayaan kecil ropeg kemenkes jam main scatter hitam tiba tiba jadi topik panas saat istirahat siang ropeg kemenkes bisik bisik jam main scatter hitam muncul di parkiran ropeg kemenkes senja hari jam main scatter hitam ramai diceritakan pada momen perpisahan pegawai ropeg kemenkes Bikin Geger! Penampilan Scatter Hitam Jadi Topik Hangat Pembicaraan Dunia Karena Jackpot Besarnya Mengulik Strategi Jitu di Mahjong Wins 3 yang Bikin Banyak Pemain Penasaran Ramai Dibicarakan Ajang Fashion Paito Hk Hari ini Penuh Kejutan Bocoran Angka Jitu Bikin Fans Histeris Semakin Populer, Mahjong Wins 3 Disebut-Sebut Sebagai Game Wajib Coba Tren Baru 2025: Mahjong Wins 3 Jadi Bintang Utama di Platform Hiburan Digital Trending Malam Ini! Ajang Fashion Week Togel hongkong 4D Suguhkan Gaya Nyentrik Terupdate dan live Draw tercepat di Panggung Update Malam Ini Film Togel Toto Macau 5D Terbaru Langsung dari macau Masuk Top 10 Holywood pekanbaru-saksi-baru-mahjong mahjong buktikan kemenangan jalur rtp live mahjong sertakan kualitas bermain tanpa gangguan mahjong tampilkan efek bermain dengan elegan riset pola strategi mahjong wins perjalanan tukang kayu kalimantan kualitas-produk-dari-umkm modal nekat main mahjong lewat AGENCUAN berhasil ciptakan momen strategi mahjong wins 3 bikin heboh ruang rapat di QQCUAN mahjong wins hebohkan media berita di mechitharisten pekerja part time mechitharisten berhasil buka pola mahjong wins 3 sesaat sampai di rumah kemenangan konsisten mahjong ini kunci dari Mahasiswa UI tukang becak samping mall singkawang mahjong wins 3 berikan rezeki gampang menang scatter tengah malam pemuda ini nekat buy spin black scatter membawa hoki karyawan sudah pulang semua cumin monitor masih menyala tampilkan scatter mahjong wins 3 black scatter mahjong wins 3 jadi bahan penelitian mahasiswa begini jika salah memakai strategi mahjong wins 3 qqcuan bersiap memperkenalkan strategi permainan mahjong wins 3 yang baru diakhir tahun rtp agencuan di mahjong wins 3 bikin kaget penggemar dengan spin santai langsung dapat strategi pola rahasia mahjong wins 3 berhasil ditemukan di sela istirahat siang staf ropeg kemenkes bahas cara menang mahjong wins 3 cara menang mahjong wins 3 tiba tiba terungkap saat gangguan sistem ropeg kemenkes obrolan hening di lift ropeg kemenkes mendadak ramai karena cara menang mahjong wins 3 mahjong ways maxwin tiba tiba dibahas saat listrik padam di ropeg kemenkes heboh di parkiran ropeg kemenkes karena kabar mahjong ways maxwin mahjong ways maxwin muncul dalam canda reuni kecil staf ropeg kemenkes suasana hening ruang arsip ropeg kemenkes terpecah karena mahjong ways maxwin mahjong ways maxwin jadi cerita tak terduga saat apel pagi ropeg kemenkes rapat malam ropeg kemenkes mendadak heboh saat strategi rtp dan mahjong wins 3 diselipkan dalam obrolan jackpot wild di kopi pagi ropeg kemenkes terdengar bincang tentang mahjong wins 3 dan cara meracik strategi rtp untuk raih jackpot wild suasana lembur sunyi ropeg kemenkes pecah ketika jackpot wild dikaitkan dengan strategi mahjong wins 3 dan rtp mahjong wins jadi bumbu cerita saat hujan deras melanda ropeg kemenkes lampu mendadak padam dan obrolan bergeser ke mahjong wins di ropeg kemenkes mahjong wins tersebut dalam bincang santai usai senam pagi ropeg kemenkes suasana haru acara perpisahan pegawai ropeg kemenkes diselipi kabar mahjong wins mahjong wins muncul tak terduga dalam obrolan parkiran ropeg kemenkes sore hari gates of olympus disebut dalam obrolan tengah malam staf ropeg kemenkes suasana apel pagi ropeg kemenkes mendadak heboh karena kabar gates of olympus gates of olympus muncul sebagai candaan di acara perpisahan pegawai ropeg kemenkes gates of olympus tiba tiba jadi topik hangat di parkiran ropeg kemenkes hujan deras sore hari di ropeg kemenkes berubah riuh saat scatter hitam dikaitkan dengan strategi aneh acara peringatan sederhana di ropeg kemenkes menyelip kabar tak terduga tentang scatter hitam dan strategi lampu mati sejenak membuat staf ropeg kemenkes membuka bincang soal scatter hitam dan strategi strategi tak biasa terungkap saat hujan lebat dan scatter hitam dibicarakan di ropeg kemenkes riuh ruang kerja ropeg kemenkes saat strategi baru tiba dihubungkan dengan scatter hitam QQCUAN rekaman digital ropeg deteksi istilah mahjong ways 2 dan rtp live dalam lampiran temuan laporan menunjukkan sisipan unsur maxwin pada dokumen grafik resmi insiden presentasi terhenti karena tampilan mahjong ways 2 muncul di layar publik analisis log keamanan ropeg temukan kode rtp live di file unggahan sistem verifikasi data ropeg soroti unsur gambar terkait mahjong ways 2 dan istilah maxwin kajian internal ropeg kaji unsur mahjong wins 3 dalam dokumen terbitan terbaru hasil monitoring ropeg kemenkes temukan aktivitas mahjong ways 2 di data unggah temuan konten mencurigakan berupa rtp live dalam berkas presentasi resmi ropeg rekam jejak perangkat menunjukkan unsur maxwin terbaca dalam sesi webinar ropeg penelusuran ropeg kemenkes terhadap indikasi paparan mahjong wins 3 di file proyek tinjauan internal ropeg kemenkes temukan unsur gates of olympus dalam simulasi pelatihan hasil audit digital ropeg berpotensi terindikasi konten gates of olympus pada laporan draf laporan penelusuran ropeg terhadap penggunaan unsur gates of olympus di sistem unggah evaluasi ropeg kemenkes terkait anomali data mahjong wins 3 di sistem simulasi laporan akhir ropeg temukan unsur mahjong wins 3 pada dokumen latihan internal kajian ropeg kemenkes soal penyisipan mahjong wins 3 dalam template pelatihan digital analisa ropeg soal kemunculan mahjong wins 3 dalam simulasi pelatihan asn ropeg kemenkes verifikasi dugaan konten mahjong wins 3 pada latihan digital tim ropeg kaji pengaruh unsur mahjong wins 3 dalam modul internal kementerian laporan ropeg tentang akses tidak sah mahjong wins 3 di jaringan pelatihan harmoni fokus dan keberuntungan dalam ritual mahjong wins 3 modern mahasiswa arsitektur bekasi raih insight unik saat sesi mahjong wins 3 refleksi malam hari mahjong wins 3 untuk tenangkan pikiran di akhir pekan praktisi urban healing ungkap fenomena mahjong wins 3 di meditasi santai eksplorasi nada dan alur pikiran lewat simulasi mahjong wins 3 berbasis relaksasi ritme tenang dan kepekaan emosi saat mengenal mahjong ways 2 lebih dalam terapi senyap mahjong ways 2 dalam rangkaian pemulihan fokus harian eksplorasi intuisi dan mahjong ways 2 dalam sesi me time di akhir pekan cara heningkan mental dengan aktivitas mahjong ways 2 pada senja hari energi baru dari simulasi mahjong ways 2 bagi praktisi mindfulness dosen pelaksana pkm unila raih rp19 juta usai simulasi mahjong wins 3 mahasiswa pembantu penelitian di fisip unila temukan pola rp24 juta di mahjong wins 3 catatan laporan akhir pkm tampilkan kasus kemenangan mahjong wins 3 rp37 juta mahasiswa unila dapat rp15 juta saat unggah berkas ke repository mahjong wins 3 peneliti muda di lppm unila klaim rp41 juta dari uji kecocokan algoritma mahjong wins 3 template judul skripsi fkip unila dibuka mahasiswa malah temukan mahjong ways 2 laporan p2m terunggah ulang akibat error mahjong ways 2 di jam input sipena dosen pembimbing pasca unila curiga tab mahjong ways 2 saat sesi revisi online mahasiswa arsipkan dataset survei lalu klaim hasil mahjong ways 2 di lppm unila verifikasi laporan mbkm dihentikan sementara usai terdeteksi akses mahjong ways 2 dokumen internal terbuka saat mahjong wins 3 dibuka dari unit teknis staf administrasi tak sengaja picu respon mahjong wins 3 di sistem terpadu temuan pola mahjong wins 3 saat pemantauan harian di ruang datacenter aktivitas mahjong wins 3 diakses saat validasi data sdm di portal resmi laporan harian terganggu saat tab mahjong wins 3 muncul di dinas pagi sinkronisasi data terhambat akibat mahjong dan gates of olympus dibuka serentak akses mahjong dan gates of olympus terdeteksi saat validasi e formasi sdm evaluasi pagi dianggu tab gates of olympus dan mahjong aktif di layar monitor monitoring sistem menemukan akses berulang ke mahjong dan gates of olympus penguatan disiplin kerja pasca insiden mahjong dan gates of olympus di jam dinas aktivitas rtp wild di layar monitor muncul saat rapat ropeg berlangsung scatter hitam dan indikasi akses rtp wild dalam log harian pns kemenkes laporan evaluasi mingguan ropeg temukan jejak rtp wild dan scatter hitam deteksi awal sistem menangkap tab scatter hitam aktif di jam kerja ropeg insiden akses rtp wild berulang dilaporkan selama proses input simpeg pegawai honorer ropeg kaget jackpot rp14 juta dari mahjong saat rehat siang temuan menkeu ropeg soal aktivitas mahjong online dan jackpot rp27 juta di ruang kerja jackpot mahjong rp11 juta ikut dibahas dalam sidang kode etik ropeg pekan ini rekaman kejadian pagi hari ropeg sebut jackpot rp39 juta dari game mahjong laporan internal ropeg ungkap jackpot rp22 juta terjadi di laptop asn saat wfh kajian fitur mahjong wins 5 dari magang lppm berujung kemenangan rp46 juta hasil penelitian mahasiswa teralihkan usai uji fitur baru mahjong wins 5 praktik lab ilkom unila tiba tiba heboh usai fitur mahjong wins 5 beri rp28 juta revisi proposal tertunda dosen temukan catatan fitur kemenangan mahjong wins 5 bimbingan skripsi daring mendadak off karena demo fitur mahjong wins 5 rp62 juta peninjauan ulang modul lppm terhenti usai riset mahjong tembus rtp dan maxwin notulen seminar digital lppm tiba tiba heboh setelah riset mahjong capai maxwin uji coba data rtp mahjong di lab fisip unila tembus maxwin tak terduga hasil analisis lppm tentang rtp mahjong memunculkan kasus maxwin rp74 juta riset independen dosen muda bongkar faktor rtp mahjong yang picu maxwin laporan pasca kkn lppm unila soal rtp live dan wild mahjong di kawasan sukarame catatan eksperimen rtp mahjong lppm unila temukan pola wild di rtp live sesi keempat rekap data rtp live mahjong dan wild symbols pada observasi digital desa canggu hasil survei lppm unila tunjukkan aktivitas mahjong berbasis rtp live melonjak pasca libur penelusuran lppm soal pengaruh rtp live dan wild di mahjong kaitkan dengan perubahan algoritma laporan kegiatan lppm unila soal menang beruntun di gates of olympus kelurahan rajabasa rekaman studi digital lppm unila temukan kemenangan mengejutkan dalam gates of olympus hasil observasi gates of olympus menang berturut dilaporkan peserta kkn unila desa kemiling catatan pasca penelitian lppm unila gambarkan korelasi menang di gates of olympus dengan perubahan tren analisis lppm unila ungkap perilaku digital saat menang di gates of olympus dalam simulasi pemanfaatan fitur kajian strategi digital lppm unila terkait kemunculan scatter hitam saat simulasi penelusuran data mahasiswa lppm unila pahami trik di balik scatter hitam laporan pengamatan visual scatter hitam dan respon strategis pengguna simulasi unila analisis lppm unila soal persepsi digital terhadap trik pemicu scatter hitam temuan lapangan lppm unila petakan interaksi user dengan mode scatter hitam dalam studi trik analisa tiba tiba majong ways terbuka saat uji coba aplikasi di lppm unila hasil observasi lppm unila majong ways muncul dalam data log harian dosen kejutan virtual majong ways aktif saat sidang skripsi online lppm unila pengujian simulasi di lppm unila berujung buka majong ways tanpa disadari log rekaman digital lppm unila temukan akses majong ways di jam kerja DEMO SLOT PG catatan harian asisten lab bogor bahas fenomena mahjong ways 2 di ereport ipb dosen muda ipb curhat soal tren mahjong ways 2 dalam catatan ereport ipb kisah anak asrama cibanteng temukan inspirasi dari mahjong ways 2 versi ereport ipb laporan malam jumat di ipb mahjong ways 2 jadi bahan obrolan di ereport jurnal santai peneliti ipb bahas uniknya mahjong ways 2 dalam catatan ereport catatan harian asisten lab bogor ungkap trik rahasia di mahjong wins 3 versi ereport ipb dosen muda ipb malam hari menulis tentang trik mahjong wins 3 dalam ereport peneliti cilik ipb desa leuwikopo ceritakan trik aneh di mahjong wins 3 kisah pengawas greenhouse ipb temukan trik tak terduga di mahjong wins 3 laporan santai ereport ipb trik mahjong wins 3 bikin heboh ruang diskusi Joker88 live draw hk Remaja Kediri Bongkar Strategi Rahasia di Mahjong Wins 3 Hingga Maxwin 21 Juta Terbongkar Kakek Pensiunan di Bantul Berhasil Raih Maxwin Mahjong Wins 3 Pakai Trik Lama Geger di Rumah Kontrakan Cikarang Anak Teknisi Dapat Maxwin Mahjong Wins 3 Karena Salah Pencet Penjual Bakso Keliling Akhirnya Paham Strategi Mahjong Wins 3 Sejak Dengar Obrolan Warkop Tante Asal Cirebon Ternyata Punya Catatan Lengkap Trik Mahjong Wins 3 dan Raih Maxwin 15 Juta Mahjong Wins 3 Muncul Sesaat Setelah Ravindra Tutup Semua Tab Sambil Menahan Ngantuk Tanpa Sengaja Fasya Lihat Pola Mahjong Wins 3 di Komputer Lama Milik Kakaknya Mahjong Wins 3 Bikin Senja di Kontrakan Raka Berubah Jadi Malam yang Sulit Dilupakan Layar HP Bergetar dan Mahjong Wins 3 Muncul Tiba-tiba di Tengah Rapat Online Jasmine Mahjong Wins 3 Aktif Saat Raga Masih Setengah Tertidur di Depan Monitor Kampus Kosong Semua Berawal dari Suara Kipas Rusak Saat Yuli Tekan Ikon Mahjong Wins 3 di Laptop Nya Tombol Mouse Tak Disengaja Ditekan Zaky dan Mahjong Wins 3 Meledak dalam Hening Mahjong Wins 3 Muncul di Tab Belakang Browser Nadya yang Sedang Cari Diskon Belanja Sambil Nunggu Jemuran Kering Farros Justru Lihat Mahjong Wins 3 Muncul dengan Sendiri Mawar Lihat Mahjong Wins 3 Bergerak Aneh Saat Monitornya Munculkan Bayangan Gelap Bapak Anak Sukabumi Tiba-tiba Temukan Trik Mahjong Wins 3 dan Maxwin 19 Juta Mengejutkan Pria Pemalu di Pinggiran Lampung Panen Maxwin karena Trik Mahjong Wins 3 Ibu Kontrakan Depok Berhasil Maxwin 24 Juta Usai Terapkan Trik Mahjong Wins 3 dari Menantunya Siswa Drop Out Ternyata Jago Trik Mahjong Wins 3 dan Raih Maxwin Pertamanya Trik Lupa Diri Mahjong Wins 3 Berujung Maxwin 20 Juta di Malam Pertama Nikah gates of olympus terbuka tiba tiba saat aulia sedang mengganti background laptop tekanan kerja bikin niko iseng dan tanpa sadar buka gates of olympus di komputer kantor layar berkedip sekali dan gates of olympus muncul saat citra cuma mau cek jam gates of olympus di tab terakhir laptop zahra muncul saat semua sudah hening fajri lihat gates of olympus bergerak saat ia tarik kursi dari bawah meja dapur nenek penjual kerupuk temukan pola mahjong ways di rtp live dan kagetkan anaknya remaja pengangguran bekasi bongkar pola mahjong ways usai melototin rtp live berjam jam sopir travel salatiga berhenti di rest area cuma untuk coba pola mahjong ways rtp live tukang service hp bekas dapat bonus tak terduga usai praktekkan pola mahjong ways dari rtp live tidak sengaja pola mahjong ways di rtp live ditemukan petugas parkir saat hujan deras penarik gerobak sayur pakai strategi mahjong wins 5 dan dapat uang belanja 7 hari mbak penjilid buku lama tontonin strategi mahjong wins 5 langsung cuan rp630000 istri montir temukan strategi mahjong wins 5 saat nunggu bekal dibungkus berkat strategi mahjong wins 5 pemuda kaki lima dapat bonus mendadak rp1 4 juta nenek jahit di kuningan rajin pantau strategi mahjong wins 5 sampai keisi saldo dana dari lampu neon berdengung hingga rtp wild muncul di tengah file excel milik nida rtp wild aktif tepat saat tangan lelah rayyan salah gerak ke shortcut tak bernama tidak ada petunjuk hanya rtp wild dan sunyi kamar deva yang terlalu lama diam rtp wild muncul di sela pop up aneh saat azkia coba download font jadul suara lalat dan satu kopi dingin mengiringi kemunculan rtp wild di layar damar penjaga lahan kosong di pekanbaru bongkar strategi mahjong wins 5 bikin kaget rp970000 pemuda pencetak kaos dapat strategi mahjong wins 5 dari chat group dan auto cair ibu penjual es kelapa salah pencet video malah nemu strategi mahjong wins 5 kakek penjual mainan di terminal senang bukan main lihat mahjong wins 5 rp750000 masuk pengantar paket di kabupaten cianjur diam diam pakai strategi mahjong wins 5 langsung hoki gates of olympus terselip di sela aplikasi editor foto yang baru dibuka kezia gates of olympus muncul di laptop arya sesaat sebelum koneksi internet hilang total ketika notifikasi bisu menumpuk di sudut layar gates of olympus buka diri pada nanda tekanan mouse terakhir saat lampu mulai redup bikin gates of olympus terbuka sendirinya gates of olympus tiba tiba muncul dalam mode sunyi saat hazim mencari file ujian lama scatter hitam muncul di layar usang saat naufal salah colok charger di warung tua tak ada aplikasi terbuka tapi scatter hitam berkedip di sudut monitor milik mahesa scatter hitam tiba tiba tergambar saat rafella mencoba memutar mp3 lama di komputer saat kipas meja mati sendiri scatter hitam muncul di layar retak punya yandra scatter hitam terselip di tab yang dibuka arini sambil menunggu mi nya matang mantan karyawan tambal ban di palembang temukan pola mahjong ways dari rtp live subuh anak rantau di kostan sempit makasar mendadak paham pola mahjong ways rtp live rp820000 penjaga lahan parkir ikut nonton rtp live mahjong ways dan bongkar polanya wanita cuci piring di warung betawi tiba tiba teriak usai liat pola mahjong ways pemuda jaga konter di tegal tak sengaja buka rtp live langsung pahami pola mahjong ways pemuda di desa sirnagalih teriak liat scatter wild berjejer di mahjong ways scatter wild tiba tiba muncul saat nina buka mahjong ways di bus antar kota pola scatter dan wild di mahjong ways bikin pengantar galon cimahi diam sejenak pria kesepian di kontrakan jakarta barat tak sengaja menang berkat scatter mahjong ways perempuan hamil muda temukan wild rahasia mahjong ways saat menunggu suami pulang pagi buta di kamar kos nuraini maxwin besar usai pencet starlight princess abang cuci mobil di palembang tiba tiba terdiam lihat maxwin di starlight princess tukang cetakan kunci pasar senen dibuat bingung oleh starlight princess maxwin 30 juta istri di gowa kaget suami kirim bukti maxwin starlight princess saat piket malam kakek pensiunan tni coba starlight princess karena cucu lagi main maxwin malah duluan remaja pengangguran di cipinang bongkar pola jitu mahjong wins 1 dan bawa pulang 12 juta napi bebas asimilasi pakai pola jitu mahjong wins 1 dan auto beli hp baru ibu kontrakan di purworejo senyum puas lihat pola mahjong wins 1 tembus 11 juta tukang pel kafe senayan tak sangka pola jitu mahjong wins 1 malah ngasih rejeki tak terduga warga bengkulu cek pola mahjong wins 1 di warung kopi eh pulang bawa maxwin juga pemuda minang temukan strategi wild mahjong dan gates of olympus bikin transfer beruntun pengasuh kostan di klaten curiga anak kos bisa menang mahjong dan olympus dengan strategi wild suami diam diam pakai strategi gates of olympus dan mahjong hasilkan kemenangan aneh di wild lansia tangerang ngaku lihat pola wild dalam mahjong dan olympus lalu raih kemenangan tiba tiba remaja bekasi ajak teman buktikan strategi gates of olympus ke mahjong dan malah banjir transfer pria peternak bebek di tuban berhasil amankan 36 juta dari mahjong wins 6 saat senja tukang las di kampung kaget dapat transfer 79 juta setelah spin di mahjong wins 6 penjaga perpustakaan temukan pola mahjong wins 6 hingga kantongi 25 juta semalam ibu kost di pinggiran bekasi bongkar kenapa mahjong wins 6 bisa bayar 60 juta tiba tiba mahasiswi cutting class raih 48 juta lewat mahjong wins 6 karena keliru spin teman joker88 sbobet mobile slot demo pola mahjong ways ternyata dipahami penjual kembang tahlil berkat rtp wild pagi itu ibu pengrajin sapu lidi punya trik sendiri baca rtp wild dan pola mahjong ways sore di bawah pohon kenari petugas penarik gerobak belajar mahjong ways dan rtp wild rtp wild mahjong ways bikin pemilik studio rekaman rumahan paham alur pola unik awalnya dikira hoki acak tukang cuci mobil ini malah hafal pola mahjong ways berdasarkan rtp wild maxwin beruntun dengan pola mahjong way 2 ini catatan harian strategi mahjong way 2 yang stabil reset pola mahjong way 2 saat pace seret menuju maxwin strategi cepat mahjong way 2 baca pola sebelum spin pola aman mahjong way 2 biar maxwin nggak ngaret tanda tanda rtp wild siap meledak di mahjong wins 3 strategi mudah maxwin dengan rtp wild rtp wild turun cara jaga peluang maxwin di mahjong wins 3 maxwin cepat dengan rtp wild di mahjong wins 3 menit pertama rtp wild bisa antarkan ke maxwin nelayan muda di pesisir tulungagung raih 52 juta lewat mahjong wins 6 saat menunggu ombak remaja pencinta kopi di garut justru dapat 67 juta dari mahjong wins 6 karena gagal fokus penjaga lapak mainan di pasar ambon mendadak auto sultan setelah mahjong wins 6 keluar guru les private di depok tak sangka spin mahjong wins 6 tembus 93 juta saat menganggur penata rambut rumahan di klaten dapat transfer 42 juta setelah coba mahjong wins 6 slot dana toto slot pola mahjong ways ternyata dipahami penjual kembang tahlil berkat rtp wild pagi itu ibu pengrajin sapu lidi punya trik sendiri baca rtp wild dan pola mahjong ways sore di bawah pohon kenari petugas penarik gerobak belajar mahjong ways dan rtp wild rtp wild mahjong ways bikin pemilik studio rekaman rumahan paham alur pola unik awalnya dikira hoki acak tukang cuci mobil ini malah hafal pola mahjong ways berdasarkan rtp wild maxwin beruntun dengan pola mahjong way 2 ini catatan harian strategi mahjong way 2 yang stabil reset pola mahjong way 2 saat pace seret menuju maxwin strategi cepat mahjong way 2 baca pola sebelum spin pola aman mahjong way 2 biar maxwin nggak ngaret slot dana setelah batal merantau ke batam pria penjual lukisan jalanan ini temukan mahjong ways 2 mahjong ways 2 bantu nenek penjual janur keliling punya alasan untuk melek sampai malam bukan dari guru atau teman petugas jaga menara air ini belajar mahjong ways 2 dari radio rusak suara hujan dan lampu remang bikin mahjong ways 2 jadi momen favorit ibu penganyam bakul pria pencetak undangan pernikahan rumahan punya metode aneh baca pola di mahjong ways 2 setelah dicuekin anaknya pria penjual mainan kayu dapat hiburannya di mahjong wins 3 mahjong wins 3 bikin wanita pembuat pupuk kompos di desa bisa beli rice cooker baru dari rumah sempit samping jalur kereta pemuda penjual ikan hias sering dapat moment di mahjong wins 3 siapa sangka pengamen suling pasar senen punya catatan pola sendiri untuk mahjong wins 3 mahjong wins 3 sering dibuka pak rokhim sambil ngasih makan bebek kesayangannya situs slot gacor pengrajin tusuk sate di kabupaten klaten tiba tiba dapat transfer 51 juta lewat mahjong wins 3 penjahit sederhana di gang sempit lampung dapat kejutan 92 juta dari mahjong wins 3 asisten dapur warung di tasikmalaya gemetar lihat mahjong wins 3 bikin saldo meledak 68 juta nenek pemintal benang di bali main mahjong wins 3 karena cucu dan auto cuan 56 juta anak penjaga pemancingan di banjarbaru langsung dapat 74 juta saat spin mahjong wins 3 katanya trik itu datang saat tenang petani cabe di kaki gunung pelajari rtp mahjong ways 2 sore itu di warung kopi terminal rtp mahjong ways 2 dibahas serius sama tukang jahit baju seragam trik buatan sendiri bikin penjual sosis bakar depan sd jadi sering bangga mainin mahjong ways 2 bukan cuma hoki petugas cuci mobil rumahan ini punya catatan rtp mahjong ways 2 sendiri mahjong ways 2 pernah bikin mas darto borong pakan kucing usai coba trik gak sengaja dari ponakannya Nenek di Garut Raih Rp68 Juta Lewat Spin Mahjong Wins Berkat Ajaran Sang Cucu Guru di Jawa Tengah Ajarkan Murid Main Mahjong Ways Raih Scatter Hitam Berkali-kali Lipat Kepala Desa Sukabumi Ajak Warga Belajar Pola Mahjong Ways Demi Tambah Pendapatan Dosen Ibnus Raih Kemenangan dari Pola Scatter Hitam Bagikan Ilmu Analisis ke Mahasiswa Viral Komunitas Mahasiswa Kampus Ibnus Kenalkan Pola Scatter Hitam Mahjong Ways 3 Laporan Internal Ibnus Ungkap Temuan Rp87 Juta dari Pola Scatter Hitam Mahjong Ways 3 Pegawai Honorer Kaget Raih Scatter Hitam Rp18 Juta Saat Makan Siang di Kantin Ibnus Temuan Pola Scatter Hitam dari Mahjong Ways 3 Muncul Saat Rapat Tahunan Komunitas Mahasiswa Ibnus Jackpot Pola dari Mahjong Ways 3 Dibahas Saat Rapat Dosen dan Mahasiswa Bahas Scatter Hitam Mahasiswa Raih Scatter Hitam Rp80 Juta di Mahjong Ways 3 Saat Sidang Akhir Meja Hijau Pengurus Kebun Ibnus Raih Scatter Hitam Setelah Bekerja Seharian di Mahjong Ways 3 Pola Scatter Hitam Muncul Saat Wahyu Buka Mahjong Ways 3 di Pertemuan Organisasi Mahasiswa Remaja Semester Pertama Ajak Teman bermain Mahjong Ways 3 Pola Scatter Hitam Muncul Tak Terduga Penjaga Perpustakaan Ibnus Temukan Pola Scatter Hitam Raih Rp48 Juta Saat Jam Istirahat Siang Penjaga Gerbang Ibnus Temukan Pola Scatter Hitam Saat Pagi Buta Sebelum Jam Masuk Kampus Raih Scatter Hitam Berkali-Kali Lipat Lulusan Ibnus Bagikan Ilmu Analisis Pola Scatter Hitam kepada Mahasiswa di permainan mahjong ways Dosen Ibnus Tinjau Tutorial Pola Mahjong Ways di Kantor pulang kantor malah dapat maxwin Penjual Makanan Kampus Ibnus Raih Scatter Hitam Beruntun di Spin ke-5 Jadi Perbincangan Mahasiswa Mahasiswi Tingkat Akhir Ibnus Temukan Pola Scatter Hitam di Waktu Tertentu Dosen malah Ikut Belajar Pejaga Kebun Kampus Ibnus Temukan Pola Scatter Hitam dari Ajaran Alumni, Jadi Sorotan di Lingkungan Kampus Viral Sopir Bus Kampus Ibnus Temukan Pola Scatter Hitam di mahjong ways raih RP87 juta Kisah Widodo Mantan Manusia Silver yang Jadi Sukses Setelah Temukan Pola Scatter Hitam Di Permainan Mahjong Ways 3 Viral Kisah Nyata Pemuda Bernama Winarto Nekat Bermain Mahjong Ways Dan Raih Scatter Beruntun di IDRHOKI Demi Berobat Untuk Ibunya Yang Sakit Pemulung Bernama Awi Diajarkan Mahasiswa Ibnus Pola Scatter Hitam di Permainan Mahjong Ways Kisah Rani Mantan Pekerja Malam yang Temukan Pola Scatter Hitam di permainan Mahjong Ways diajarkan oleh gadunnya Ibu Kos Bernama Acu Ajarkan Mahasiswa Ibnus Cara Cepat Pahami Pola Scatter Hitam di permainan Mahjong Ways Bibar Mahasiswi Temukan Pola Scatter Hitam dari Nasehat Dosen Pembimbing hingga Bisa Lunas SPP Hendi Mahasiswa Tingkat Akhir Lakukan Riset Waktu Tepat Bermain Mahjong Ways untuk Temukan Scatter Hitam Kisah Nyata Viral Ahmad Dapat Kejutan Tak Terduga Setelah Mendapatkan Scaatter Hitam Dari Mahjong Wins Hingga Raib Keuntungan RP147 Juta pola rahasia scatter hitam terungkap oleh mahasiswa bernama yani pada saat bermain mahjong wins di malam hari slot777 Vexana Dapat Kejutan Besar Raih Perkalian x1000 di IDRHOKI hingga Wujudkan Mobil Impian Pola Mahjong Ways 3 Dibuktikan oleh Bahdrul dengan Hasil Kemenangan yang Stabil Karyawan Swasta di Gresik Kuasai Teknik RTP dengan Perhitungan Sederhana untuk Pemain Mahjong Ibu Layla Temukan Strategi Rahasia Pola Spin Mahjong Ways 3 di IDRHOKI Pemuda Bernama Erwin Jadi Auto Sultan Berkat Kemenangan di Mahjong Ways Pihak pimpinan Mahjong Ways memberikan imbauan kepada para pemain untuk selalu bermain melalui platform resmi IDRHOKI demi keamanan data dan kenyamanan bermain Organisasi Persyerikatan Mahjong Ways Indonesia Rekomendasikan Platform Resmi IDRHOKI Karyawan Gen Z Ungkapkan Kesuksesan WFH Setelah Temukan Pola Pecahan Wild di IDRHOKI Kisah Inspiratif Mantan Karyawan Bangkit Setelah Temukan Peluang Melalui Mahjong Ways 3 Bocoran Internal Mahjong Ways Ungkap Cara Cepat Pemain Temukan Pecahan Wild slot88 Tips dan Trik Jitu dari Profesor Ahli untuk Pola Mahjong Ways Strategi Mahjong Ways di IDRHOKI Jadi Inspirasi Warga Gresik untuk Tambahan Pendapatan Cara baru agar kuasai ilmu RTP dengan statistik hingga bikin konsisten Mahjong Ways 3 dan Wild ciptakan suasana masyarakat ketika kumpul menjadi menyenangkan di era inovasi sekarang Rahasia bermain menang konsisten di Mahjong Ways dari pemain yang berpengalaman Konsistensi pemain dari Jawa Barat membuatkan hasil dengan analisis RTP Mahjong Ways yang tertinggi Cara membaca pola Mahjong Ways dari RTP tertinggi oleh pemain senior IDRHOKI Mahjong Ways 3 dan Wild International, antara seni dan teknologi yang diminati oleh generasi jaman sekarang Kisah haru dari ex karyawan bangkit setelah memecahkan pola Wild di game Mahjong Ways Ulasan tren Mahjong Ways untuk masyarakat gemar pemula agar dapat membaca pola sejak pindah ke dusun sawah dalem pak bejo lebih sering nikmati hari dengan mahjong ways 2 mahjong ways 2 bikin petugas pengasap ikan di pantai timur lebih ceria saat musim sepi tiap malam jumat penjaga pos rt di kampung baru selalu nyalain mahjong ways 2 duluan anak kedua dari tukang kaleng ini tahu pola mahjong ways 2 lebih cepat dari teman sekelasnya di bawah lampu kuning 15 watt ibu penjahit kebaya suka tebak angka di mahjong ways 2 sambil ngeronda malam galau di kamar sepi jadi berwarna saat elvardo temukan mahjong wins 3 rp 14 100 000 melesat ke akun salma padahal dia hanya cek sisa kuota laptop lag saat zoom berubah jadi hoki untuk raylen di mahjong wins 3 gak ada rencana apa apa tapi mahjong wins 3 bikin nadyan duduk lebih tegak tab mahjong wins 3 terbuka saat nayel nunggu cucian dan gak disangka bikin heboh jam setengah dua pagi zikra kepencet tab mahjong ways 2 dan diam sejenak rp 5 430 000 didapat vano gara gara buka tab yang gak direncanakan lagi nyapu halaman alia mampir ke mahjong ways 2 dan gak berhenti senyum tekan satu kali di keyboard tiba tiba mahjong ways 2 keluar dan bikin farel terpaku cerita naila yang nyari wallpaper kucing tapi dipertemukan sama mahjong ways 2 penjaga perahu sewa di pantai pangandaran curiga pola mahjong wins 3 berubah di akhir pekan ibu penjual lemper di terminal rutin cek mahjong wins 3 sambil nunggu pelanggan pertama malam di bawah lampu temaram mahjong wins 3 bikin pengantar tabung gas ini mendadak tenang awalnya main karena bosan mahasiswa semester akhir malah nemu irama di mahjong wins 3 sopir bus antar kota yang hobi baca komik jepang ternyata lihai main mahjong wins 3 slot resmi gacor777 slot gacor Cerita sukses seorang wiraswasta memulai bisnisnya dari berkat inspirasi Wild dan Mahjong Ways Langkah kecil tetapi berdampak besar bisa menjadi trik sederhana untuk Mahjong Ways agar buat penggemar game menjadi jutawan Mahjong Ways buka peluang karir bagi pemain untuk memahami Wild Organisasi Wild fokus memberikan inovasi untuk kalangan pemuda agar lebih kreatif dalam pola Mahjong Ways Pemicu viralnya Wild akibat diberikan tips oleh penggemar Mahjong Ways 2 Ulasan tren Mahjong Ways untuk masyarakat gemar pemula agar dapat membaca pola Putaran maksimal di Mahjong Ways 2 jadikan Wild booster untuk kalangan pemuda yang tumbuh di era zaman AI Strategi dari ketua PG Soft Indonesia dari pola Mahjong Ways agar cepat mendapatkan pola Wild Strategi pemuda Wild Confidence temukan Mahjong Ways dalam kepercayaan diri sendiri Ternyata ini tips jitu agar menang cepat di Wild International dan Mahjong Ways Cara Baru agar Kuasai Ilmu RTP dengan Statistik hingga Bikin Konsisten Panduan Mahjong Ways Terbaru dari IDRHOKI Bikin Pemain Menjadi Nyaman Mahjong Ways 3 dan Wild Bounty: Tempat di Mana Keberhasilan dan Mitologi Bertemu Simbol Mahjong Ways dan Wild: Pesan Rahasia dari IDRHOKI agar Membaca Gerakan Pola dengan Cepat Cara Baru Kuasai RTP dari Ahlinya IDRHOKI Bikin Banyak Pemain Happy Viral Strategi Ampuh IDRHOKI: Pola Mahjong Ways dan RTP yang Diperbincangkan Pemain Strategi IDRHOKI Saat Pola dan Waktu Bertemu, di Sini Kemenangan Luar Biasa Terjadi awal mula idrhoki memperkenalkan pg soft dan pragmatic di indonesia hingga saat ini Hasil Analisa Pola dan RTP Diungkap Strategi Baru oleh IDRHOKI Rahasia Cara Putar Mahjong Ways di IDRHOKI agar Terhindar dari Kekalahan Satpam Temukan Simbol Pola Langka dari Mahjong Ways Berkat Ajaran Guru IDRHOKI Tips dan Trick Bagaimana Cara Menghindari Error pada Saat Bermain Mahjong Ways 2 Beberapa Ajaran IDRHOKI tentang Teknik Kemenangan di Mahjong Ways 2 dan Gate of Olympus Ritual yang Dilakukan Pemain IDRHOKI agar Pola Mahjong Ways 2 serta Wild Empire Muncul Seketika Update Terbaru dari Permainan Mahjong Ways Munculkan Pola Tak Terduga di IDRHOKI Rahasia Cara Putar Mahjong Ways di IDRHOKI agar Terhindar dari Kekalahan Pemain Senior IDRHOKI Mahjong Ways Ungkapkan Keseriusan Bermain dalam Pola Teknis dan Feeling Tugas Kelompok Bersama Mahasiswa Hasilkan Pola Kreatif Mahjong Ways 2 hingga Wild Penjual Bakso Diajarkan Pola Mahjong Ways serta Wild oleh Dosen Universitas Gwencana Penemu Wild Knight di Mahjong Ways 2 agar Setiap Pemain Dapat Merasakan Kemenangan yang Seimbang Cara Kuasai Pola Teknik Mahjong Ways 2 Ilmu Turunan IDRHOKI Viral Kisah Nyata Sukses Kartina Buka Peluang Usaha Mahjong Ways 2 agar Dapat Membaca Pola yang Tepat dan Benar dasar peluang besar agar mendapatkan manfaat dari mahjong way 2 dengan pola tertentu Peluang Usaha Tips dari Mahjong Ways 2 agar Dimana Pemain Menjadi Prioritas Utama tips pro dari idrhoki agar dapat wild di awal permainan tahap awal Cara Buktikan Teknik dari IDRHOKI agar Terampil untuk Kemenangan Mutlak untuk Kalangan Pemain hasil analisa pola dan rtp diungkap strategi baru oleh idrhoki Strategi Mahjong Ways 2 dari Manusia Silver agar Dapat Pola Gambar Wild di Setiap Pemain Keunikan dari Platform IDRHOKI agar Pola Gambar Wild Gampang Didapatkan Ketika Malam Hari Analisis Pola Gambar Wild yang Sering Muncul di IDRHOKI Saldo Bertambah pada Saat Jam Malam https://lpminfo.umpwr.ac.id/ https://www.mca.earth/ bukan paranormal tapi bu risma ngaku selalu liat wild mahjong ways 2 muncul kalau lagi masak kentang goreng waktu ngasih makan ayam anak panti pakai akun lama bikin wild di mahjong ways 2 tembus beruntun sabtu malam di belakang pasar tradisional pak soleh coba pola random dan wild mahjong ways 2 meledak juga https://deliciouselsalvadorblog.com/menu/

    https://entertainesia.com/ https://xtremelandscaping.ca/ SLOT777 slot gacor 777 tips profesional memilih game pgsoft dan pragmatic untuk hasil maksimal strategi memilih game pgsoft dan pragmatic terbaik sesuai tren 2025 kriteria game terbaik dari pgsoft dan pragmatic yang wajib dicoba studi pola rtp dan teknik prediksi modern dalam permainan pragmatic riset pola rtp pragmatic serta metode prediksi cerdas untuk tingkatkan winrate analisis mendalam pola rtp dan strategi prediktif untuk maksimalkan kemenangan pragmatic teknologi di balik efek visual game pgsoft dan pragmatic yang bikin ketagihan mengulik teknologi visual canggih dari pgsoft dan pragmatic tren teknologi grafik game pgsoft dan pragmatic yang semakin realistis strategi menang efisien berbasis rtp dan pola digital terbaru rumus baru menang kombinasi strategi rtp dan pola digital efektif cara pintar meningkatkan winrate dengan rtp dan pola digital teroptimasi panduan menang cerdas dengan analisis rtp dan pola digital dua ribu dua lima mahjong ways 2 agencuan hadirkan wild beruntun yang bikin scatter makin cuan fitur wild bertingkat mahjong ways 2 169cuan bikin scatter makin menggila mahjong ways 2 qqcuan ungkap pola wild beruntun yang dorong cuan besar rahasia efek animasi pragmatic play dalam membentuk alur spirit of adventure sentuhan animasi virtual pragmatic play yang membimbing ritme spirit of adventure tips strategis mendapatkan kemenangan game online berbasis analisis modern cara efektif memenangi game online dengan pola analisis sistematis rina teknisi hp raih cuan besar di captain’s bounty qqcuan berkat spin ke 23 keberuntungan menghampiri ronald teknisi hp saat bermain mahjong wins 3 169cuan kisah menarik wawan teknisi komputer yang menang besar di starlight princess agencuan kemenangan rp 82.900.000 di blackjack qqcuan berkat strategi psikologi dealer strategi blackjack 169cuan berhasil hasilkan cuan rp 82.900.000 lewat analisis dealer ekspresi dealer jadi kunci pemain agencuan sukses menang rp 82.900.000 optimasi pola gates of olympus lewat analisis cerdas dan keputusan taktis teknik membaca pola sugar rush untuk akurasi permainan yang lebih tinggi pendekatan analitis untuk meningkatkan presisi bermain gates of olympus cara profesional membaca ritme mahjong ways 2 demi akurasi maksimal rina teknisi hp raih cuan besar di captain’s bounty qqcuan berkat spin ke 23 Bendungan yang Pecah Akibat Kombinasi Scatter Lupa Cara Turun nih Soalnya Naik Terus Jackpot RP23 Juta Pakai Pola Scatter Hitam Mancing Mania Mantap Perintis itu Seru Daripada Jadi Pewaris Tukang Kebun Pak Setyo Dapat Penghasilan dari Mahjong Kini Jadi Mentor Mahjong Ways Terbaik Satpam BANK Berhasil Raup Kemenangan Sensational Mahjong Ways 2 169CUAN Arifin Rubah Modal 10K Jadi Ratusan Juta Lewat Mahjong RTP Live Gratis 169CUAN Mahjong Ways Akurasi Kemenangan Mahjong Ways 2 RTP Live 169CUAN Tren RTP Live Meningkat Jadi Alat Bantu Pemain RTP Live Bikin Cuan Mendadak Bangun Vila Wisata dari Mahjong 169CUAN Game Mahjong Naik Daun Karena Scatter Hitam Terbukti Gampang Maxwin Studi Perputaran Mahjong Ways 2: Saat Simbol Acak Justru Menciptakan Jalan Baru Menuju Free Games Ketika Pola Acak Mahjong Ways 2 Justru Menghasilkan Perfect Collapse dan Mengubah Total Hasil Akhir Spin Data Permainan 2025: Pola Horizontal Mahjong Ways Ternyata Paling Konsisten Hasilkan Multiplier Besar Cara Baru Baca Pergerakan Wild Mahjong Wins 3: Metode Delay Spin Ini Bikin Hasilnya Lebih Nempel Trik Mengamati Delay Spin Mahjong Ways agar Bisa Menangkap Momen Perubahan Reel yang Menguntungkan Analisis Akurat Simbol Premium Mahjong Wins 3: Kenali Kombinasinya dan Raih Peluang Menang Lebih Cepat Rahasia Pola Santai Mahjong Wild 2: Penjual Pentol Pulang Bawa Profit 9 Juta dari 40 Menit Main Kapan Pola Ringan Mahjong Ways Berubah Menjadi Pola Berat? Studi Momen yang Sering Berbuah Maxwin Bagaimana Perputaran Reel Tidak Sempurna di Mahjong Ways 3 Sering Menjadi Awal Munculnya Kombinasi Tinggi Mengungkap Energi Scatter Emas Mahjong Ways: Teknik Baca Momentum yang Sering Dipakai Pemain Pro update mahjong mingguan: pergerakan pola yang sedang jadi pembahasan sorotan pemain: pola kemenangan mahjong yang paling menonjol minggu ini pola mahjong terpanas minggu ini yang ramai diperbincangkan pemain strategi spin manual zeus dan starlight untuk memaksimalkan volatilitas tinggi teknik cerdas mengolah volatilitas ekstrem di mode sugar rush vs sweet bonanza cara efektif mengendalikan volatilitas di duel mahjong ways 1 dan mahjong ways 2 gelombang rtp mahjong ways yang sedang jadi sorotan pemain fenomena maxwin mahjong ways yang makin dicari komunitas cara admin mengungkap pola kemenangan konsisten yang mudah diikuti kunci pola kemenangan tersukses untuk permainan lebih konsisten dan menguntungkan